عاجل
محافظ أسوان يطلق صافرة الإنجاز: 790 مليون جنيه مشروعات قيد التنفيذ ونسبة الإنجاز 44% أبوالنصر: ربط أسيوط بالقاهرة جويًا خطوة استراتيجية لدعم محبي التراث الروحي محافظ أسوان: رعاية طبية كاملة لمصابي حادث مهرجان الإسماعيلية.. وصرف التعويضات خلال ساعات المنشاوي يشهد انطلاق أعمال اليوم العلمي الأول لقسم طب الأطفال بجامعة أسيوط ‏تلفزيون فلسطين: تجدد القصف الإسرائيلي على مناطق شرقي مدينة خان يونس جنوبي قطاع غزة
بوابة الفجر
بوابة الفجر
  • أخبار مصر
  • تقارير وحوارات
  • الاقتصاد
  • الفجر الفني
  • الفجر الرياضي
  • عربي ودولي
  • توك شو
  • القائمة
القائمة
facebook twitter youtube instagram rss feed
  • الرئيسية
  • أخبار مصر
  • تقارير وحوارات
  • الاقتصاد
  • الفجر الفني
  • الفجر الرياضي
  • عربي ودولي
  • توك شو
  • محافظات
  • حوادث
  • صور
  • الفجر السياسي
  • الفجر الطبي
  • تكنولوجى
  • سيارات
  • مقالات الرأي
  • ركن القراء
  • منوعات
  • إسلاميات
  • أبراج
  • كاريكاتير
  • فضفضة
  • طلاب وجامعات
  • أقباط وكنائس
  • العدد الأسبوعي
  • العدو الصهيوني
  • السعودية
  • انفوجراف
  • رياضة
  • تونس 365
  • القائمة
  1. الرئيسية
  2. عالم صفحة 10

عالم صفحة 10

حصري.. تفاصيل أغاني المطرب الشعبي أحمد شيبه المقبلة

حصري.. تفاصيل أغاني المطرب الشعبي أحمد شيبه المقبلة

16/March/2022
أعظم السيمفونيات تتواصل في الأوبرا

أعظم السيمفونيات تتواصل في الأوبرا

16/March/2022
عروض سينمائية عالمية بقصر السينما

عروض سينمائية عالمية بقصر السينما

15/March/2022
بيانو وفلوت تنمية المواهب على المسرح الصغير بالأوبرا

بيانو وفلوت تنمية المواهب على المسرح الصغير بالأوبرا

13/March/2022
خبير عالمي في الأشعة التداخلية بمستشفى المعادي العسكري

خبير عالمي في الأشعة التداخلية بمستشفى المعادي العسكري

12/March/2022
أحمد شيبة وحمو بيكا يشعلان حفل زفاف عضو فريق

أحمد شيبة وحمو بيكا يشعلان حفل زفاف عضو فريق "الدخلاوية vip" (صور)

08/March/2022
وزير الإنتاج الحربي يبحث التعاون مع شركة

وزير الإنتاج الحربي يبحث التعاون مع شركة "Navistar" الأمريكية

08/March/2022
هاني شاكر لـ

هاني شاكر لـ"الفجر الفني": الدراما هي أملي الوحيد في العودة لعالم التمثيل مرة أخرى

04/March/2022
اختتام الدورة الثانية للملتقى الدولى السنوي لطلاب الدراسات العليا بالخارج

اختتام الدورة الثانية للملتقى الدولى السنوي لطلاب الدراسات العليا بالخارج

01/March/2022
ثقافة القليوبية تناقش خطورة الزيادة السكانية

ثقافة القليوبية تناقش خطورة الزيادة السكانية

24/February/2022
 نجوم الفن يحرصون على حضور بمهرجان أسوان الدولي لأفلام المرأة

نجوم الفن يحرصون على حضور بمهرجان أسوان الدولي لأفلام المرأة

24/February/2022
كليب

كليب "أنا مش بخير" لـ ريشا كوستا وسمارة ناو يتصدر تريند يوتيوب في أقل 24 ساعة

15/February/2022
قصور الثقافة تنظم عدد من البرامج الثقافية احتفاءًا بكبار الكتاب والأدباء

قصور الثقافة تنظم عدد من البرامج الثقافية احتفاءًا بكبار الكتاب والأدباء

09/February/2022
التفاصيل الكاملة وجدول فعليات الدورة 53 لمعرض القاهرة الدولي للكتاب 2022

التفاصيل الكاملة وجدول فعليات الدورة 53 لمعرض القاهرة الدولي للكتاب 2022

18/January/2022
لمتابعة سير العمل.. وزير الإنتاج الحربي يتفقد مصنع المصاعد الكهربائية

لمتابعة سير العمل.. وزير الإنتاج الحربي يتفقد مصنع المصاعد الكهربائية

12/January/2022
مواعيد مباريات كأس العالم للأندية 2021.. موعد أولى مباريات الأهلي

مواعيد مباريات كأس العالم للأندية 2021.. موعد أولى مباريات الأهلي

30/November/2021
قبل بدء الدورة بأيام.. مهرجان القاهرة السينمائي يطرح البرومو الرسمي للدورة الـ43 (فيديو)

قبل بدء الدورة بأيام.. مهرجان القاهرة السينمائي يطرح البرومو الرسمي للدورة الـ43 (فيديو)

25/November/2021
حزب المحافظين يحقق فوزا ساحقا ليمهد الطريق لمغادرة بريطانيا الاتحاد الأوروبي

حزب المحافظين يحقق فوزا ساحقا ليمهد الطريق لمغادرة بريطانيا الاتحاد الأوروبي

26/December/2019
طفل

طفل "كفرناحوم" يدخل عالم مارفل!

30/November/2019
توافق مبدئى بين المحافظين واليسار البريطانى على إجراء انتخابات مبكرة

توافق مبدئى بين المحافظين واليسار البريطانى على إجراء انتخابات مبكرة

05/September/2019
بوتين: العلاقة العسكرية بين أمريكا واليابان تمنعنا من توقيع اتفاقية سلام مع طوكيو

بوتين: العلاقة العسكرية بين أمريكا واليابان تمنعنا من توقيع اتفاقية سلام مع طوكيو

05/September/2019
بوتين يرفض دعوة

بوتين يرفض دعوة "أبي" للتوقيع على معاهدة سلام الحرب العالمية الثانية

05/September/2019
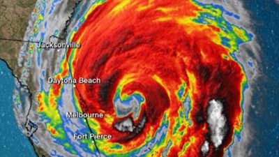
مئات الآلاف يخلون منازلهم فى جزر كارولينا الأمريكية لدى وصول

مئات الآلاف يخلون منازلهم فى جزر كارولينا الأمريكية لدى وصول "دوريان"

05/September/2019
الإعصار

الإعصار "دوريان" يشتد إلى الفئة الثالثة.. والآلاف يخلون منازلهم فى كارولينا الشمالية والجنوبية

05/September/2019
بكين: أمريكا تقمع الشركات الصينية بشكل غير أخلاقى

بكين: أمريكا تقمع الشركات الصينية بشكل غير أخلاقى

04/September/2019
الاكتفاء بتغريم يوتيوب 170 مليون دولار لتسوية انتهاكات بشأن الأطفال

الاكتفاء بتغريم يوتيوب 170 مليون دولار لتسوية انتهاكات بشأن الأطفال

04/September/2019
تغريم

تغريم "يوتيوب" 170 مليون دولار لجمع معلومات شخصية عن أطفال

04/September/2019
إضراب جديد لطيارى

إضراب جديد لطيارى "ريان اير" الأيرلندية بسبب الأجور

04/September/2019
فى حوار لـ

فى حوار لـ"الفجر".. "شاكيرا" إسبانيا توجه كلمة للمصريين.. "الموسيقى الشرقية فى دمى"

07/August/2019
السفير الفنزويلى يكشف لـ

السفير الفنزويلى يكشف لـ"الفجر" تطورات الوضع فى البلاد.. "نواجه حربا إمبريالية على غرار سوريا وليبيا"

06/August/2019
  • ...
  • 5
  • 6
  • 7
  • 8
  • 9
  • 10
  • 11
  • 12
  • 13
  • 14
  • 15
  • ...
بوابة الفجر
facebook twitter youtube instagram rss feed
من نحن - إتصل بنا - أعلن معنا - بيان الخصوصية
أخبار مصر تقارير وحوارات الاقتصاد الفجر الفني الفجر الرياضي عربي ودولي توك شو محافظات حوادث صور الفجر السياسي الفجر الطبي تكنولوجى سيارات مقالات الرأي ركن القراء منوعات إسلاميات أبراج كاريكاتير فضفضة طلاب وجامعات أقباط وكنائس العدد الأسبوعي العدو الصهيوني السعودية انفوجراف رياضة تونس 365
© 2021 elfagr.org All Rights Reserved. | sync solutions
بوابة الفجر
  • الرئيسية
  • أخبار مصر
  • تقارير وحوارات
  • الاقتصاد
  • الفجر الفني
  • الفجر الرياضي
  • عربي ودولي
  • توك شو
  • محافظات
  • حوادث
  • صور
  • الفجر السياسي
  • الفجر الطبي
  • تكنولوجى
  • سيارات
  • مقالات الرأي
  • ركن القراء
  • منوعات
  • إسلاميات
  • أبراج
  • كاريكاتير
  • فضفضة
  • طلاب وجامعات
  • أقباط وكنائس
  • العدد الأسبوعي
  • العدو الصهيوني
  • السعودية
  • انفوجراف
  • رياضة
  • تونس 365
facebook twitter youtube instagram rss feed